A large commercial development in east Windsor has been given approval by a city committee.
The Development and Heritage Standing Committee met Monday afternoon to discuss the report, which called for an official plan and zoning amendments for a commercial development by Rock Developments Inc.
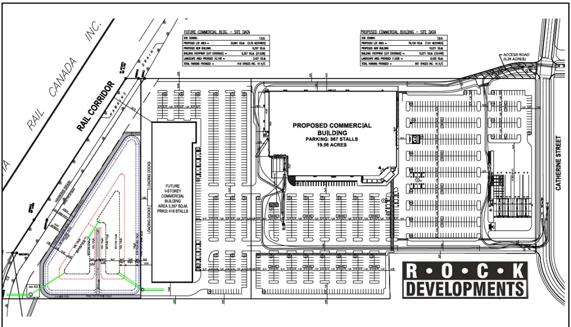
The development is proposed to be located on a vacant piece of property north of Tecumseh Road East and west of Catherine Street. The two roads are expected to have a new intersection with signals to help with traffic in the area.
The proposed development calls for commercial uses that will include retail, a gas station and restaurants - with the gas pumps expected to be part of Phase 1. The plan calls for approximately 25,000 square meters of floor space and just under 1,400 parking spots.
While it has yet to be confirmed what exactly the development will be, the conceptual drawing shows it will include the colour "Costco Red".
Jim Morrison, ward 10 councillor and chair of the committee, says this specific plot isn't suitable for residential development, but is great for commercial.
"It's a great area to put in a big development. So there's going to be several phases to this, we'll see a gas bar going into first, and then we'll see what the proponent is putting in there - there's been a lot of guesses about what is going in there. And you can see the infrastructure that we're going to do, so we're doing a pretty significant development out this way."
Morrison says that entire area is expected to grow.
"There's certainly a lot of infrastructure planned, I don't have all the details for that at this stage, but it's big infrastructure. It's tens-of-millions of dollars of infrastructure, and so some of that will facilitate residential development as well."
Windsor mayor Drew Dilkens says what is coming in that area is really positive.
"This is way more than just one big-box development, this opens up all of the land in that particular area, which I think you'll see and we believe you'll see fill in very, very quickly. And then you will see also several residential developments - multi-storey residential developments happen there that require the underground investment to be made in order to support those developments."
Council will still need to give final approval for the plan and rezoning.
Morrison says at the next city council meeting, infrastructure costs for projects around the city are expected to be discussed - including this development.
