A proposed five storey condo building is being seen as a big shift for the St. Clair Beach community in Tecumseh.
Draft plans call for a 71-unit building to go up near Tecumseh Rd. and Brighton Rd. connected to the former Pud's Marina which outlets to Lake St. Clair. The proposed plan would see 163 on-site parking spaces added while 35 new large marina boat docks would be created, down from the 75 spots available as part of the former marina operation.
Neighbouring residents are not happy with the proposal, painting it as a drastic change for the area at a public meeting on the proposal held Tuesday evening.
St. Clair Beach resident Diana Webb feels the new building will change the landscape and atmosphere of the neighbourhood made up largely of single-family homes.
"You know I think it will be gone, the peacefulness, because obviously, they're going to put a traffic light in one area — living in St. Clair Beach will be different from now on."

St. Clair Beach residents pack town hall in Tecumseh for a public meeting on a proposed condo development in their neighbourhood on March 13, 2018. (Photo by Ricardo Veneza)
Webb feels neighbouring residents are getting a bad deal.
"It's not any advantage to us as neighbours," says Webb. "We love it the way it is. We're worried about flooding, we're worried about sewage backing up into people's basements; we don't like that."
Tecumseh Mayor Gary McNamara points to a need for more housing density in the town.
"A municipality that doesn't grow, a municipality that doesn't look at the future is a municipality that's going to fail," says McNamara.
He made the case to residents that without new development and more projects like condominiums — it could affect everyone's bottom line.
"If we don't grow as a municipality then the day-to-operations of our corporation — taxes have to go up, a lot higher if we don't get any new assessment," says McNamara.

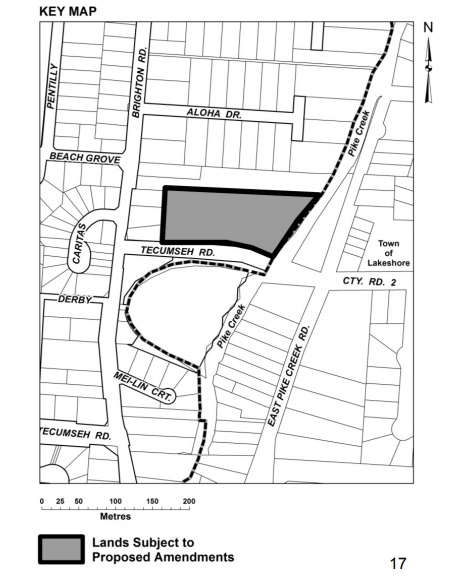
A key map included in a report presented at a public meeting in Tecumseh regarding a proposed condominium development in St. Clair Beach. (Photo courtesy Town of Tecumseh)
Chad Jeffery, manager of planning in Tecumseh, points out the proposed condo fits with the province's directive for intensification in housing development.
"The purpose of that is to make better use of existing lands and more efficient use of the existing services to make communities more walkable, to make them more transit friendly and to, finally, to protect the farmland that's so valuable in this area," says Jeffery.
Webb doesn't think the proposed condo building fits the neighbourhood.
"To me it's a residential area," says Webb. "It's not a commercial area for stores and malls and high rise buildings — it's not."
The public meeting on Tuesday allowed council and administration to gather input.
Another public meeting is expected before any concrete decisions are made regarding the project.