More residential development is on the way for Lakeshore.
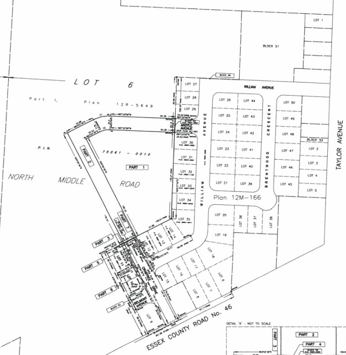
Council has approved the construction of 41 single-detached homes near Comber just off County Rd. 46 near Taylor Ave.
Mayor Tom Bain says the municipality just continues to grow.
"Certainly we're growing at a fast rate, no question and infrastructure is a big thing for us, to able to keep up," he says. Sometimes you ask yourself, 'where are all these people coming from?'"

Photo courtesy of Town of Lakeshore
Bain says it is going to be a busy summer for developers with three or four new subdivisions on the go this summer across the municipality.
"I think the big new factor that we see is a lot of our earlier development centred around around our two schools, our elementary school, our high school, our ATC {Atlas Tube Centre}, now we're finding that these subdivisions are spreading out," he says.
In January 2019, council approved a new subdivision that backs on to Russell Woods, located on the south side of Old Tecumseh Rd, east of Flanders Rd. and west of Jordan Ln.
That development will include 12 town homes, 30 semi-detached homes and 13 single-detached homes.
In March of 2018, the Town of Lakeshore also approved more than 300 new homes as part of the River Ridge subdivision. That development involves 148 single-detached homes along with 185 town homes.
The River Ridge subdivision is being built just east of Puce Rd. along the south side of Oakwood Ave. on near the Atlas Tube Centre and Lakeshore Discovery School.